有明プラザ
物件価格
14 億 4,000 万 円
利回り
6.96%
月々のお支払い例(初回お支払額):
{{ monthlyPayment?.toLocaleString() }}円
※上記支払例の借入条件:金利{{ loanInterestRate }}%、借入総額144,000万円(うちボーナス払い{{ loanBonusMan }}{{ loanBonusUnit }}円)、借入期間{{ loanTerm }}年、{{ loanPaymentMethodName }}返済方式、ボーナス支払額(初回){{ bonusPayment?.toLocaleString() }}円
支払いシミュレーション
- 万円
- 万円
- %
- 万円
| ボーナス払い | {{ loanTerm }}年 |
|---|---|
| 0万円 | |
| 5万円 | |
| 10万円 | |
| 15万円 | |
| 20万円 | |
| 25万円 | |
| 30万円 | |
| 35万円 | |
| 40万円 | |
| 45万円 | |
| 50万円 |
セールスポイント
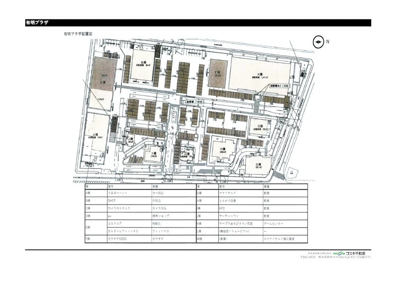
荒尾市原万田に事業用物件をお預かりしました♪国道208号線沿いの立地で、マクドナルド、KFC、サーティワン等のテナントが出店しております!
所在地・交通
| 所在地 | 熊本県荒尾市原万田700番1、621番2、660番1 | ||
|---|---|---|---|
| 交通 |
JR鹿児島本線 荒尾駅 徒歩12分 |
その他交通 | 西鉄バス 「有明プラザ前」バス停 徒歩約1分 |
| 小学校校区 |
荒尾市立万田小学校 |
中学校校区 |
荒尾市立荒尾海陽中学校 |
※学校区は住所から自動判定したものであり、保証できる情報ではございません。正確な学校区はお問い合わせ下さい。
「人型アイコン」を地図上にドラッグすることで『Google ストリートビュー』に切り替わります。
※地図上の「対象地」は実際の場所ではない場合がございます。詳しくはお問い合わせください。
物件概要
| 価格 |
14億
4,000万
円
|
利回り | 6.96% | ||
|---|---|---|---|---|---|
| 種別 | 住宅以外の建物全部 | 種目 | 店舗 | ||
| 土地面積 | 19560.6㎡(公簿) | 私道面積 | |||
| 建物面積 | 5206.35㎡(登記) | 建物構造規模 |
その他 1階建 |
||
| 築年月(竣工月) | 1990年 6月 | 駐車場 | 有 | ||
| 総戸数 | 13 | ||||
| 管理形態/管理方式 | 全部委託/ | ||||
| 接道状況 | |||||
| 地目 | 宅地 | ||||
| 建ぺい率/容積率 | 60% / 200% | 都市計画 | 非線引区域 | ||
| 土地権利 | 所有権 | 地勢 | その他 | ||
| 用途地域 | 近隣商業 | 国土法 | 要 | ||
| 現況 | 上物有 賃貸中 | ||||
| 建築確認番号 | |||||
取引条件等
| 引渡し | 相談 |
|---|
その他
| 設備 | |||
|---|---|---|---|
| 特徴 | 【土地】(公簿地積)5917.08坪 【建物】計13棟(公簿延床面積)1574.92坪 (築年月日)平成2年6月29日〜平成30年8月2日 (種別)遊技場、店舗、配電所・事務所、倉庫 | ||
| 諸条件・相談 | |||
| 情報登録日 | 2025年11月15日 | 情報更新予定日 | 2026年5月3日 |